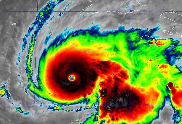
Hurricane Melissa reached Category 5 status on Monday. The National Hurricane Center predicts the storm will make landfall over Jamaica, home to nearly three million people

Hurricane Melissa intensified into a Category 5 storm Monday as it drew closer to Jamaica, where forecasters expected it to unleash catastrophic flooding, landslides and widespread damage. 

At that strength, it would be the strongest hurricane to hit the island since record-keeping began in 1851.

Blamed for six deaths in the northern Caribbean as it headed toward the island, Melissa was on track to make landfall Tuesday in Jamaica before coming ashore in Cuba later in the day and then heading toward the Bahamas. 

It was not expected to affect the United States.

Anticipating the hardship in store for his country, Jamaican Prime Minister Andrew Holness said, ‘I have been on my knees in prayer.’

On Monday night, a top meteorologist issued a dire warning hours before the hurricane was due to strike, calling the situation ‘grave’ and urging residents to take shelter immediately.

‘Things are looking grave for Jamaica tonight. Just when you thought it couldn’t get any worse, it is,’ meteorologist Dylan Federico wrote in a late-night Facebook post. 

‘Melissa is strengthening again. A new ring of storms have exploded around the eye… I wouldn’t be surprised if Melissa’s pressure falls below 900mb before striking Jamaica tomorrow.’

Hurricane Melissa reached Category 5 status on Monday. The National Hurricane Center predicts the storm will make landfall over Jamaica, home to nearly three million people

Hurricane Melissa reached Category 5 status on Monday. The National Hurricane Center predicts the storm will make landfall over Jamaica, home to nearly three million people

A house stands damaged by the preliminary winds of Hurricane Melissa at Hellshire Fishing Beach in Portmore, Jamaica

A house stands damaged by the preliminary winds of Hurricane Melissa at Hellshire Fishing Beach in Portmore, Jamaica

The slow-moving storm has killed at least three people in Haiti and a fourth person in the Dominican Republic, where another person remains missing

The slow-moving storm has killed at least three people in Haiti and a fourth person in the Dominican Republic, where another person remains missing

Federico said the monster storm could challenge the 1935 Labor Day Hurricane – the most powerful Atlantic storm on record – warning that Jamaica may be hit at Melissa’s peak intensity.

Category 5 is the top of the Saffir-Simpson hurricane scale , with sustained winds exceeding 157 mph. 

‘This is a horrible development for Jamaica because it means Melissa will likely be at its peak strength when it makes landfall. The core of destructive winds will cause complete structural failure to even the strongest of buildings,’ he wrote. 

‘Winds in the mountains will exceed 200 mph. Trees will be completely deforested and debarked. Infrastructure exposed to the winds will be completely destroyed.’

The veteran forecaster warned of long-term blackouts, communications collapse, and entire communities being cut off by flooding and landslides. 

‘Heavy flooding rain and mudslides will wash away roads, isolating communities for long periods of time,’ he said. ‘On the coast, life-threatening storm surge will cause additional destruction.’

In a stark message to those still on the island, Federico urged: ‘If you’re on the island of Jamaica, I would find the strongest concrete bunker on high ground you can find to ride this thing out.’

Melissa would be the strongest hurricane in recorded history to hit the small Caribbean nation directly, said Jonathan Porter, chief meteorologist at AccuWeather.

A man rides a bicycle ahead of the forecast arrival of Hurricane Melissa in Kingston on Sunday

A man rides a bicycle ahead of the forecast arrival of Hurricane Melissa in Kingston on Sunday

The storm has already dropped heavy rain in the Dominican Republic, pictured

The storm has already dropped heavy rain in the Dominican Republic, pictured

A man watches the waves crash into the walls at the Kingston Waterfront on October 27, 2025

A man watches the waves crash into the walls at the Kingston Waterfront on October 27, 2025

Fuel pumps are covered in plastic at a gas station ahead of the arrival of Hurricane Melissa

Fuel pumps are covered in plastic at a gas station ahead of the arrival of Hurricane Melissa 

A storm surge of up to 13 feet was expected along coastal Kingston, which Porter said is home to critical infrastructure such as Jamaica’s main international airport and power plants.

‘This can become a true humanitarian crisis very quickly, and there is likely going to be the need for a lot of international support,’ Porter said in a phone interview.

On Monday afternoon, Melissa was centered about 140 miles southwest of Kingston and about 320 miles southwest of Guantánamo, Cuba. 

The system had maximum sustained winds of 175 mph and was moving northwest at 3 mph, according to the U.S. National Hurricane Center in Miami.

Parts of eastern Jamaica could see up to 30 inches (76 centimeters) of rain while western Haiti could get 16 inches (40 centimeters), the hurricane center said, citing the likelihood of ‘catastrophic flash flooding and numerous landslides.’

Mandatory evacuations were ordered in flood-prone communities in Jamaica, with buses ferrying people to safe shelter. 

But some insisted on staying.

Volunteers assemble relief packages for Hurricane Melissa at the Global Empowerment Mission headquarters in Miami, Florida

Volunteers assemble relief packages for Hurricane Melissa at the Global Empowerment Mission headquarters in Miami, Florida

Relief packages are being prepared for the aftermarth of Hurricane Melissa

Relief packages are being prepared for the aftermarth of Hurricane Melissa 

Care packages are seen being prepared at the Global Empowerment Mission HQ in Miami

Care packages are seen being prepared at the Global Empowerment Mission HQ in Miami

Hurricane Melissa will make landfall in Jamaica as the strongest hurricane to strike the island since Hurricane Gilbert in 1988

Hurricane Melissa will make landfall in Jamaica as the strongest hurricane to strike the island since Hurricane Gilbert in 1988

‘I hear what they say, but I am not leaving,’ said Noel Francis, a 64-year-old fisherman who lives on the beach in the southern town of Old Harbor Bay, where he was born and grew up. ‘I can manage myself.’

His neighbor, Bruce Dawkins, said he also had no plans to leave his home.

‘I am not going anywhere,’ Dawkins said, wearing a raincoat and holding a beer. The fisherman said he had already secured his vessel and planned to ride out the storm with his friend.

Hanna Mcleod, a 23-year-old hotel receptionist in the Jamaican capital of Kingston, said she boarded up the windows at her home, where her husband and brother are staying. 

She stocked up on canned corned beef and mackerel and left candles and flashlights throughout the house.

‘I just told them to keep the door closed,’ she said. ‘I am definitely worried. This is actually the first time I’ll be experiencing this type of hurricane.’

Several towns along Jamaica’s southern coast already reported power outages as winds picked up throughout the night.

‘My only concern is flooding, because we live near the sea,’ said Hyacinth White, 49, who said she had no plans to evacuate to a shelter.

Officials said the biggest storm surge was expected in the Black River community in western Jamaica, where Sandra Walker was the sole street vendor working just hours ahead of the hurricane.

‘I have no choice but to be here,’ she said as she sorted potatoes, green bananas, tomatoes and scallion stalks in her stall.

Walker, a single mother of two, is still struggling to recover after Hurricane Beryl destroyed her business and home last year. 

She lives by the ocean but does not plan to go to a shelter because she had a ‘terrible’ shelter experience during Hurricane Ivan, when the facility offered only a handful of tins of corned beef to share.

A man walks by a house damaged by the winds of Hurricane Melissa at Hellshire Fishing Beach

 A man walks by a house damaged by the winds of Hurricane Melissa at Hellshire Fishing Beach

A fisherman ties boats in preparation for the forecasted arrival of Melissa in Old Harbour

A fisherman ties boats in preparation for the forecasted arrival of Melissa in Old Harbour

A man wades through a flooded street ahead of the forecasted arrival of Melissa in Old Harbour

A man wades through a flooded street ahead of the forecasted arrival of Melissa in Old Harbour

A fence lays on the road having been blown over by the powerful winds of Hurricane Melissa

 A fence lays on the road having been blown over by the powerful winds of Hurricane Melissa

‘I want to urge Jamaicans to take this seriously,’ said Desmond McKenzie, deputy chairman of the island’s Disaster Risk Management Council. ‘Do not gamble with Melissa. It’s not a safe bet.’

Despite desperate pleas to evacuate, many Jamaicans have vowed that they will stay put in the face of the hurricane.

‘I am not moving. I don’t believe I can run from death,’ Roy Brown, a plumber and tiler from Port Royal in Kingston, said.

Mr Brown blamed poor conditions and bad previous experiences at hurricane shelters for not wanting to flee.

Fisherwoman Jennifer Ramdial echoed that view, adding: ‘I just don’t want to leave.’

Mr Holness said evacuation was about ‘the national good of saving lives.’

‘You have been warned. It’s now up to you to use that information to make the right decision,’ he said during a briefing.

Hanna Mcleod, a 23-year-old hotel receptionist in Kingston, said she boarded up the windows at her home, where her husband and brother are staying. 

She has also stocked up on canned corned beef and mackerel and left candles and flashlights throughout the house.

‘I just told them to keep the door closed,’ Ms Mcleod said. ‘I am definitely worried. This is actually the first time I’ll be experiencing this type of hurricane.’

In the farming community of Flagaman in St. Elizabeth, residents have hunkered down in a store.

Owner Enrico Coke said he opened his place for fear that his neighbors had nowhere to go, saying: ‘I’m concerned about farmers, the fishermen will be suffering after this.’

‘We’ll need help as soon as possible, especially water for the people.’

Melissa could reach Category 5 strength Monday with winds greater than 157 mph

Melissa could reach Category 5 strength Monday with winds greater than 157 mph

A fallen Jamaica Public Service Company light pole is seen on the Sugar Man's beach main road in Hellshire, St Catherine parish, near Portmore, as Jamaica starts to feel the effects of Hurricane Melisa on October 26, 2025

A fallen Jamaica Public Service Company light pole is seen on the Sugar Man’s beach main road in Hellshire, St Catherine parish, near Portmore, as Jamaica starts to feel the effects of Hurricane Melisa on October 26, 2025

A man attempts to secure the roof of his home ahead of the arrival of Hurricane Melissa on Monday

A man attempts to secure the roof of his home ahead of the arrival of Hurricane Melissa on Monday

Maritza Caver-Blake and her husband traveled to Jamaica on October 24 for their 10th anniversary trip. They were all set to leave the island when their flight was canceled

Maritza Caver-Blake and her husband traveled to Jamaica on October 24 for their 10th anniversary trip. They were all set to leave the island when their flight was canceled 

Jamaican government officials said they were worried that fewer than 1,000 people were in the more than 880 shelters open across the island.

‘It´s way, way below what is required for a Category 5 hurricane,’ said Daryl Vaz, Jamaica´s transport minister, who urged people ‘to be smart … If you are not, unfortunately, you will pay the consequences.’

Prayers are being sent out from the US to friends and family stranded in Jamaica, which is in the direct path of Hurricane Melissa.

Worried aunt, Jamie Neimeyer, posted on X that her nephew and his bride of one week are trapped.

‘We tried every avenue, including private charters. They had a seat for Grace on one of the last flights out, but she wouldn’t leave Jet,’ she posted.

Another couple was visiting the island for their 10th anniversary and were set to leave on Saturday, but their flight had been canceled ahead of the incoming hurricane. 

Maritza Caver-Blake told ActionNews5: ‘We have two kids back in Jonesboro that family and our friends are taking care of until we get back.

‘My main concern is my kids and trying to make sure that we can get back to them.’

Norman Manley International Airport closed after its last scheduled arriving flight at 8pm local time on Saturday evening, leaving many Americans stranded as Melissa moves closer. 

The US Embassy in the Jamaican capital, Kingston, has told American citizens to shelter in place and check in with loved ones when possible. 

Brits are also caught up in the chaos. 

Andrew Tracey is staying at a hotel with what he believes is around 200 other UK residents, and says he has been placed into lockdown in his hotel room until at least Wednesday.

Despite his attempts to get out of the country before Melissa rages in, Mr Tracey, who only arrived in Jamaica on October 20, said his flight was cancelled and that there was ‘nothing we could really do’.

‘If I knew that the hurricane would hit while I was out here, I wouldn’t have gone at all,’ he told Sky News.

‘It’s hard to comprehend what we’re about to expect. I’ve never experienced any kind of hurricane, let alone a Category 5.

‘The tension in the hotel last night when we went down for dinner was definitely one of nerves, even locals.’

The slow-moving storm has killed at least three people in Haiti and a fourth person in the Dominican Republic, where another person remains missing. Two people died in Jamaica over the weekend as they cut trees ahead of the storm.

‘It’s nothing to play with,’ said Water and Environment Minister Matthew Samuda. ‘The time for preparation is all but over.’

More than 50,000 customers were without power. Landslides, fallen trees and downed power lines were reported ahead of the storm.

AccuWeather chief meteorologist Jon Porter noted that several vital facilities in Jamaica will be right in the path of the hurricane, potentially crippling recovery efforts once Melissa passes.

‘A key power plant, airport, shipping port, fuel terminal and water treatment plant all sit near the southern coast,’ Porter revealed in a statement.

‘This can become a true humanitarian crisis very quickly, and there is likely going to be the need for a lot of international support’.

Porter said Melissa could be the strongest hurricane in recorded history to directly hit the small nation.

The weather experts added that a storm surge between six and 10 feet could damage or destroy these areas on Tuesday. 

Where have evacuation orders been issued? 

  • Rocky Point, Clarendon
  • Portland Cottage, Clarendon
  • Old Harbour Bay, St Catherine
  • Riverton City, St Andrew
  • Port Royal, Kingston Harbour
  • New Haven, Kingston
  • Bull Bay, east of Kingston

In eastern Cuba, a hurricane warning was in effect for the Granma, Santiago de Cuba, Guantánamo and Holguin provinces, while a tropical storm warning was in effect for Las Tunas. Up to 20 inches of rain was forecast for parts of Cuba, along with a significant storm surge along the coast.

Cuban officials said they would evacuate more than 600,000 people from the region, including Santiago, the island’s second-largest city. Long bus lines formed in some areas.

Later, Melissa was forecast to barrel through the southeastern and central Bahamas, which were under a hurricane warning. A tropical storm warning was issued for the Turks and Caicos Islands.

Evan Thompson, principal director at Jamaica’s meteorological service, warned that cleanup and damage assessment would be severely delayed because of anticipated landslides, flooding and blocked roads.

A storm of Category 4 or higher has not made landfall in Jamaica in 174 years of record-keeping. Hurricane Gilbert was a Category 3 storm when it hit the island in 1988. 

A man wraps a petrol pump as Hurricane Melissa approaches, Kingston, Jamaica, on Monday

A man wraps a petrol pump as Hurricane Melissa approaches, Kingston, Jamaica, on Monday

People in Ocho Rios, Jamaica, have been given food bags and supplies for Hurricane Melissa

People in Ocho Rios, Jamaica, have been given food bags and supplies for Hurricane Melissa

A man hammers the roof of his home ahead of the arrival of Hurricane Melissa on Monday

A man hammers the roof of his home ahead of the arrival of Hurricane Melissa on Monday

People stand along the Kingston waterfront as Hurricane Melissa approaches, in Kingston, Jamaica, on Monday

People stand along the Kingston waterfront as Hurricane Melissa approaches, in Kingston, Jamaica, on Monday

Hurricanes Ivan and Beryl were both Category 4, but they did not make landfall, Thompson said.

The storm already has drenched the Dominican Republic, where schools and government offices were ordered to remain closed on Monday in four of nine provinces still under the most serious form of weather alert.

Melissa damaged more than 750 homes across the country and displaced more than 3,760 people. Floodwaters also have cut access to at least 48 communities, officials said.

In neighboring Haiti, the storm destroyed crops in three regions, including 15 hectares of maize at a time when at least 5.7 million people, more than half of the country´s population, are experiencing crisis levels of hunger. 

Melissa is the 13th named storm of the Atlantic hurricane season, which runs from June 1 to November 30.

You May Also Like

Self-made millionaire reveals his frugal hack for building wealth

By Sonya Gugliara For Dailymail.Com Published: 12:20 EDT, 22 September 2024 |…

Masseur, 47, ‘rapes British pensioner, 71, after massaging her’ in Portugal

 The 47-year-old suspect is understood to be from Eastern Europe By Gerard…

Poland’s New Globalist Govt Submits to EU Climate Diktats Contested by Conservative Predecessors.

Poland’s new government, a coalition of globalist parties led by former European…

Texas Influencer Ashley Grayson Sentenced For Murder-For-Hire

In the last two years, Ashley Grayson went from lifestyle influencing on…